Skip To Content

3406 Mansfield Street

Houston, TX 77091
  • $1,500,000
  • STATUS: Active
  • ON SITE: 242 Days
  • MLS #: 42451294
UPDATED: 62 min ago
$1,500,000
  • 0
    BEDS
  • 2.91
    ACRES
  • 0
    BATHS
  • 0
    1/2 BATHS
Type:
Vacant Land / Lots
County:

School Information

Elementary School:
Middle School:
High School:
School District:

Description

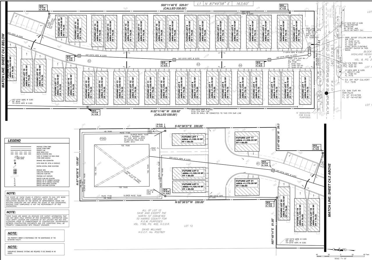
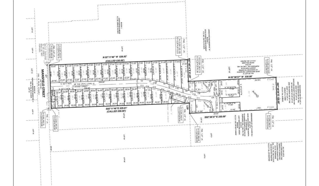
This nearly three-acre property, spanning three tax parcels (0600730230056, 0600730230011, and 0600730230096) are being platted into 40 well-proportioned lots. New Plat should be recorded by the end of September. Civil plans and permits are also up for approval, positioning the site for swift development. Located in a prime area surrounded by numerous new projects, it is just minutes from Oak Forest and Garden Oaks, with excellent access to TC Jester, The Heights, Highway 290, Interstate 45, and North Loop 610. In the heart of a rapidly transforming neighborhood and surrounded by newly constructed luxury homes, this area is quickly becoming one of Houston’s most desirable destinations. Developers and investors—seize this rare chance to build or invest in a thriving community. *All information should be independently verified by the buyer.

Monthly Payment Calculator



© 2026 Houston Realtors Information Service, Inc. All rights reserved. All information provided is deemed reliable but is not guaranteed and should be independently verified. IDX information is provided exclusively for consumers' personal, non-commercial use and may not be used for any purpose other than to identify prospective properties consumers may be interested in purchasing. Data last updated 2026-04-19T00:17:08.673.
www.micheleharmonteam.com/homes/167052687
Print Image

3406 Mansfield Street Houston, TX 77091

  • Price: $1,500,000
  • Status: Active
  • On Site: 242 Days
  • Updated: 62 min ago
  • MLS #: 42451294
0
Beds
0
Baths
0
½ Baths
2.91
Acres
Neighborhood:
Highland Heights Annex Sec 04
County:
Harris
Area:
9 - Central North
Elementary School:
Harris Academy
Middle School:
Hoffman Middle School
High School:
Eisenhower High School
School District:
Aldine
Property Description
This nearly three-acre property, spanning three tax parcels (0600730230056, 0600730230011, and 0600730230096) are being platted into 40 well-proportioned lots. New Plat should be recorded by the end of September. Civil plans and permits are also up for approval, positioning the site for swift development. Located in a prime area surrounded by numerous new projects, it is just minutes from Oak Forest and Garden Oaks, with excellent access to TC Jester, The Heights, Highway 290, Interstate 45, and North Loop 610. In the heart of a rapidly transforming neighborhood and surrounded by newly constructed luxury homes, this area is quickly becoming one of Houston’s most desirable destinations. Developers and investors—seize this rare chance to build or invest in a thriving community. *All information should be independently verified by the buyer.
Property Features

Additional Parcels Description 06007302300110600730230096 Additional Parcels YN Yes Disclosures Owner Is Listing Agent List AOR Houston Association of Realtors Lot Features Cleared Split Possible Possible Use Residential Single Family Sewer Public Sewer Tax Annual Amount 16720 Tax Legal Description LTS 56 & 57 BLK 23 HIGHLAND HEIGHTS ANNEX SEC 4 Tax Year 2024 Utilities Electricity Available Water Source Public

Listing information © 2026 Houston Association of REALTORS® MLS.
Listing courtesy of Walzel Properties - Corporate Office: .



© 2026 Houston Realtors Information Service, Inc. All rights reserved. All information provided is deemed reliable but is not guaranteed and should be independently verified. IDX information is provided exclusively for consumers' personal, non-commercial use and may not be used for any purpose other than to identify prospective properties consumers may be interested in purchasing. Data last updated 2026-04-19T00:17:08.673.
 
https://bt-photos.global.ssl.fastly.net/harmls/1280_boomver_1_42451294-2.jpg https://bt-photos.global.ssl.fastly.net/harmls/1280_boomver_1_42451294-2.jpg https://bt-photos.global.ssl.fastly.net/harmls/1280_boomver_1_42451294-2.jpg
Logo
Michele Harmon Team | RE/MAX Vintage
13145 Spring Cypress Road , Building #2
Cypress TX, 77429